
[ 타임즈 - 김시창 기자 ] 안양시 만안구는 2026년 만안구 지적재조사사업에 선정된 박달사거리주변지구와 뉴골든아파트주변지구에 대한 실시계획을 수립하고 이를 알리고자 내달 1일 온라인 주민설명회를 개최한다고 25일 밝혔다.
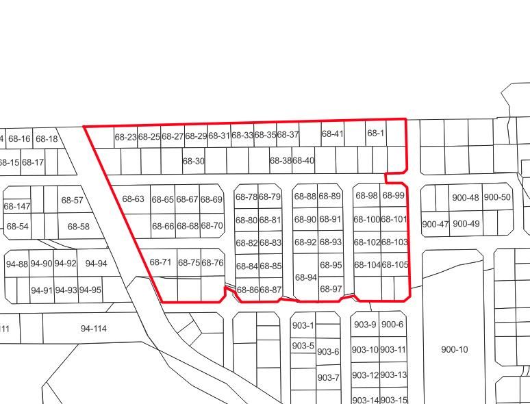
지적재조사사업은 토지의 실제 이용현황과 일치하지 않는 지적공부의 등록사항을 현실에 맞게 바로잡고 디지털 지적으로 전환하는 국가 정책사업으로, 구는 국비 2천 6백만원을 확보해 ‘박달사거리주변지구(박달동 68-1번지 일원 총 80필, 17,987㎡)’와 ‘뉴골든아파트주변지구(안양동 756-13번지 일원 25필 8,874㎡)’를 내년 지적재조사 예정지역으로 선정했다.
구청 관계자는 사업의 본격적인 추진에 앞서 해당 지역 토지소유자와 이해관계인, 지역주민을 대상으로 지적재조사사업의 추진목적, 배경, 절차, 주민 협조 사항 등을 설명하고 홍보하기 위해 ‘유튜브(안양시 채널)’에 설명회를 마련했다고 전했다.
유한호 만안구청장은 “지적재조사사업은 주민들의 적극적인 참여와 협조가 필요한 사업으로 토지소유자 총수와 토지 면적의 3분의 2 이상의 토지소유자의 동의가 있어야만 사업지구로 지정될 수 있다”며, “지적재조사사업의 성공적인 추진을 위해 주민분들의 많은 관심과 협조를 부탁드린다”고 말했다.
지적재조사사업은 유튜브뿐만 아니라 안양시 사회관계망(SNS) 홍보플랫폼 ‘안녕, 안양’에서도 자세한 내용을 확인할 수 있다.



















